SERVICES follow us on Facebook PROJECTS currently viewing LINKS CONTACT follow us on Instagram give us a call helpful links get in touch view our projects visit LABC site visit CIAT site visit HAAS site follow us on Facebook follow us on Instagram visit LABC site visit CIAT site visit HAAS site latest news
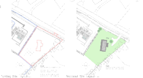
existing and proposed site
existing and proposed site

Appeal Upheld West Devon

existing and proposed site

APPEAL UPHELD

AJ Design have successfully appealed a refused permission in principle application in West Devon. The application was for a new self build single dwelling where the council refused the
application due to the site being located
outside of the settlement boundary.


Local support for the proposed works was mixed, with a small number of objections against an
even greater amount of support.


On our client’s instruction we prepared a detailed statement explaining why we believed the council were wrong to refuse the application and lodged an appeal against the council’s refusal notice.
The Planning Inspector appointed by the
Secretary of State for Communities and
Local Government has allowed our
appeal despite the objections raised
by the council and local residents.










AJ Design - Home

AJ Design

view our services view image view image view image view image